Gilze

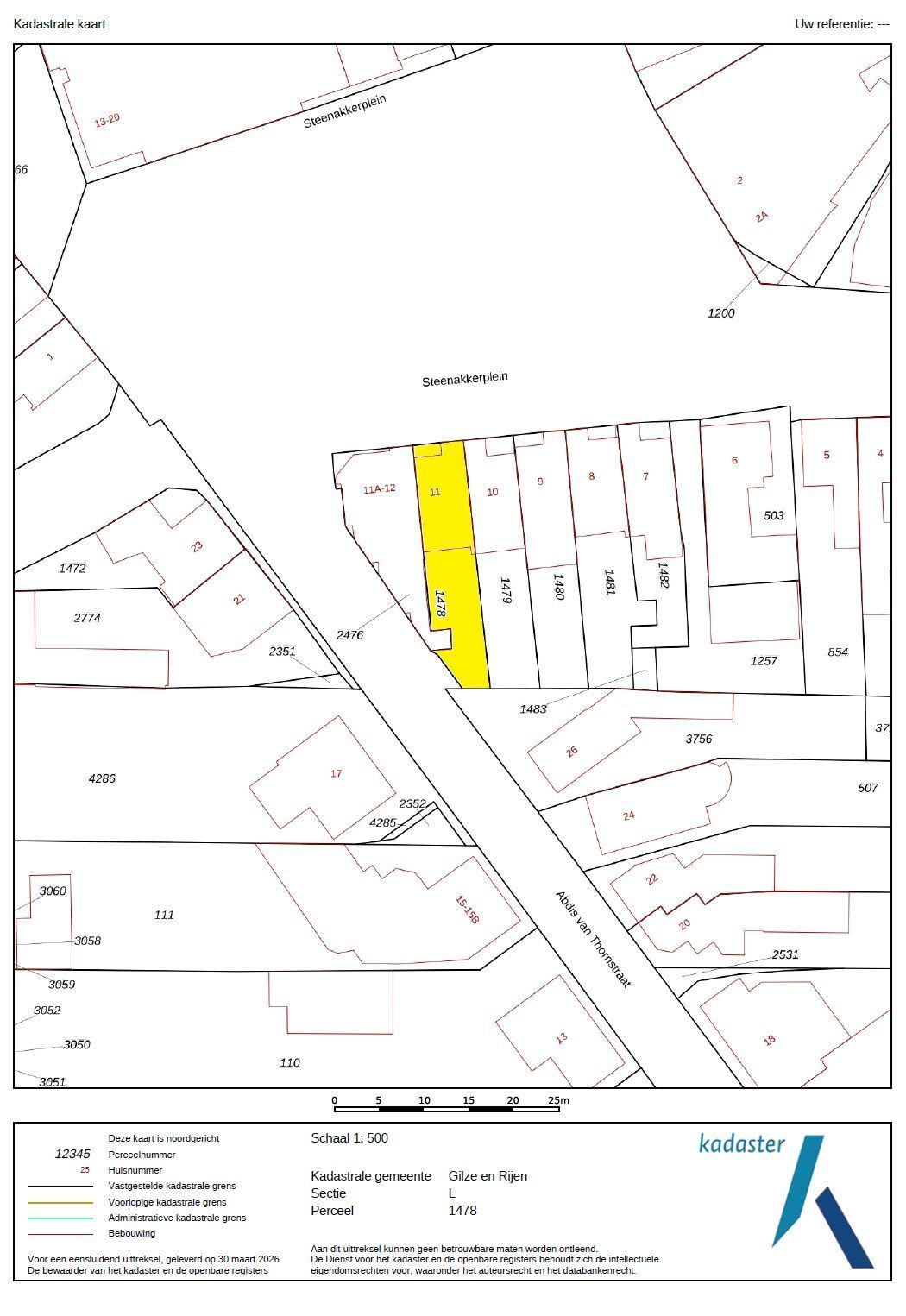
Steenakkerplein 11

Vraagprijs € 449.000 k.k.

2 Slaapkamers

145 m² Oppervlakte

145 m² Perceeloppervlakte

B Energielabel

Interesse in Steenakkerplein 11?

We horen graag van je!

Contactgegevens