Eindhoven

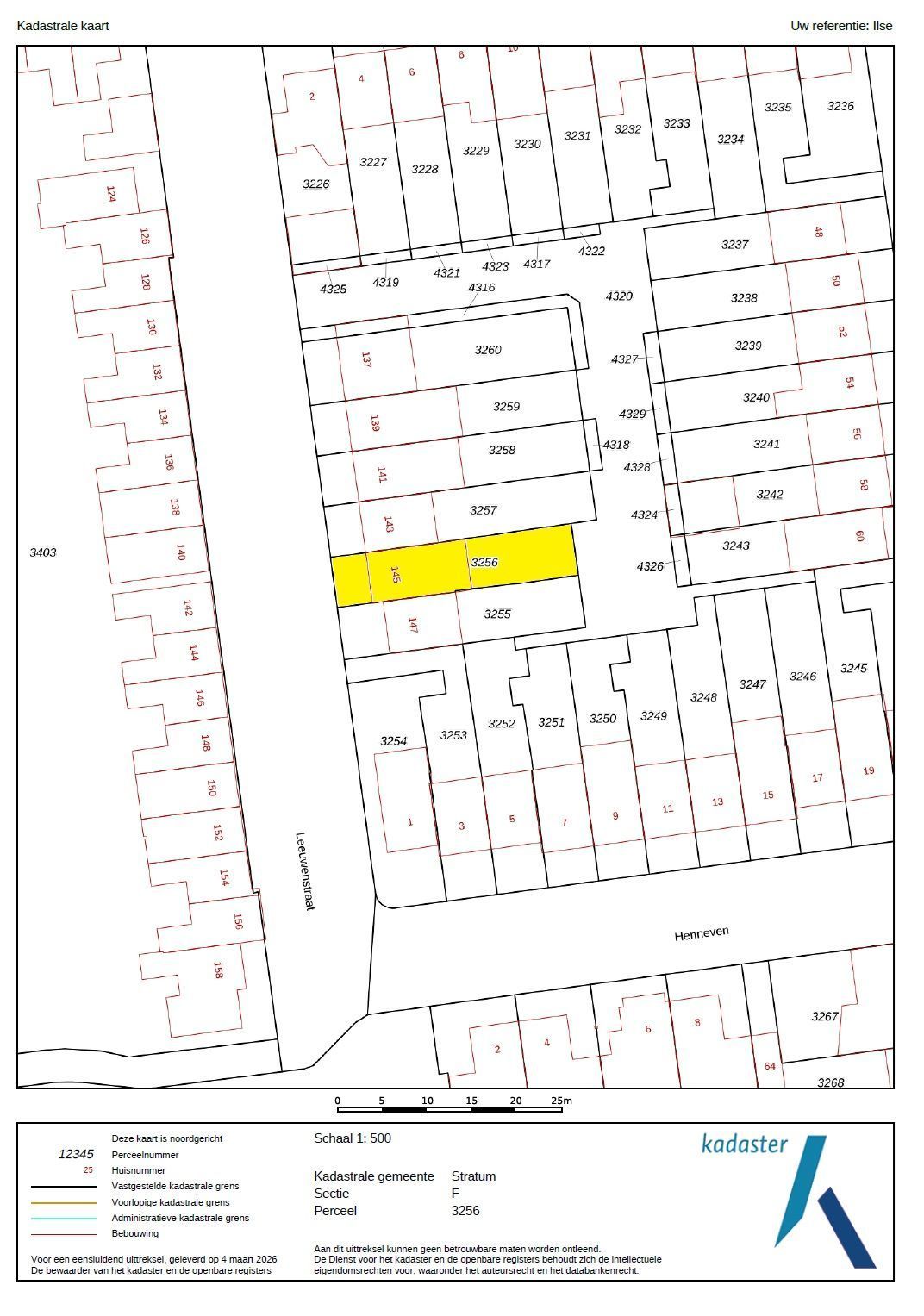
Leeuwenstraat 145

Vraagprijs € 449.000 k.k.
Nieuw!

5 Slaapkamers

93 m² Oppervlakte

156 m² Perceeloppervlakte

A Energielabel

Interesse in Leeuwenstraat 145?

We horen graag van je!

Contactgegevens