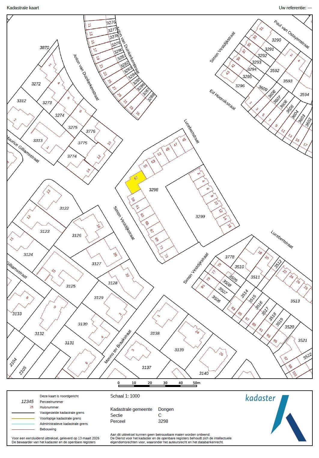
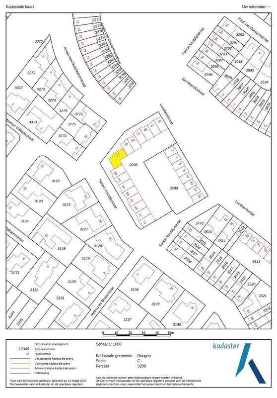
Dongen

Simon Vestdijkstraat 57

Vraagprijs € 385.000 k.k.

3 Slaapkamers

135 m² Oppervlakte

250 m² Perceeloppervlakte

C Energielabel

Interesse in Simon Vestdijkstraat 57?

We horen graag van je!

Contactgegevens