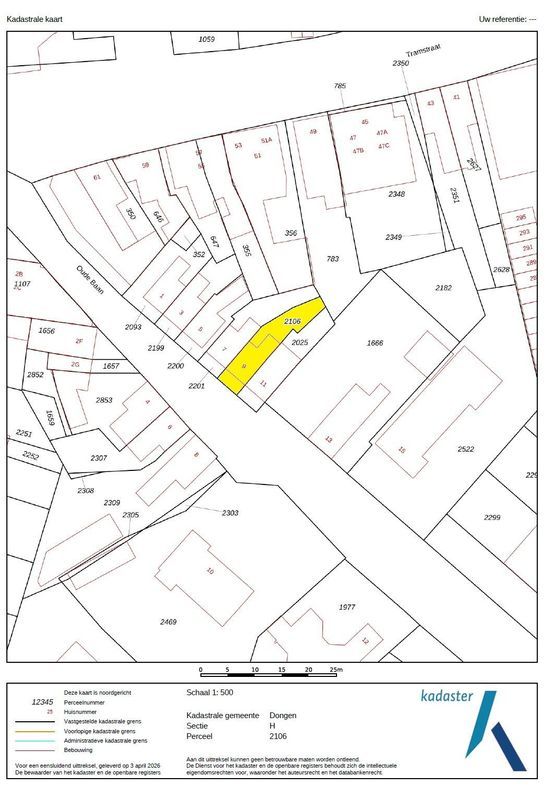
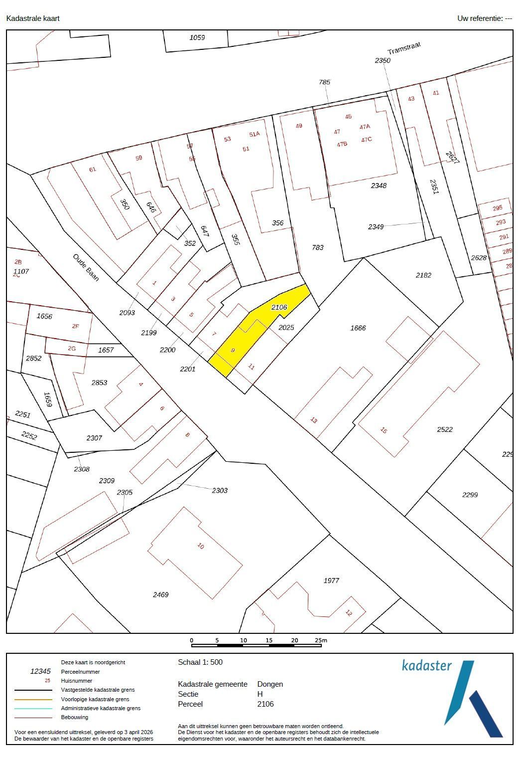
Dongen

Oude Baan 9

Vraagprijs € 279.000 k.k.

2 Slaapkamers

66 m² Oppervlakte

100 m² Perceeloppervlakte

C Energielabel

Interesse in Oude Baan 9?

We horen graag van je!

Contactgegevens