• ZET JE WONING TE KOOP EN NEEM DEEL AAN DE DRUKBEZOCHTE KIN OPEN HUIZEN DAG OP ZATERDAG 13 JUNI A.S.

Dongen

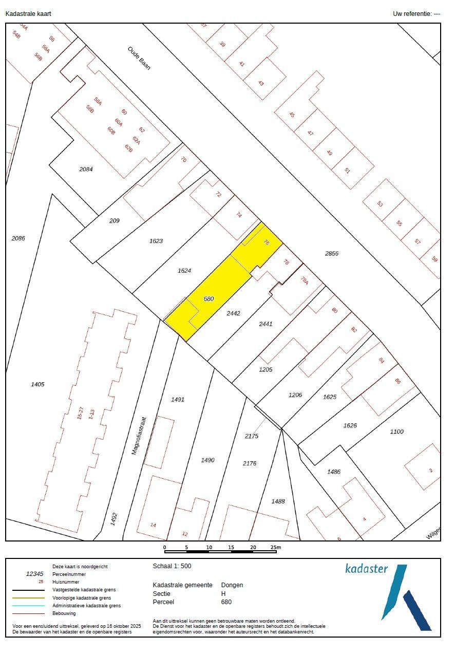
Oude Baan 76

Vraagprijs € 389.000 k.k.
verkocht

3 Slaapkamers

92 m² Oppervlakte

218 m² Perceeloppervlakte

C Energielabel