Dongen

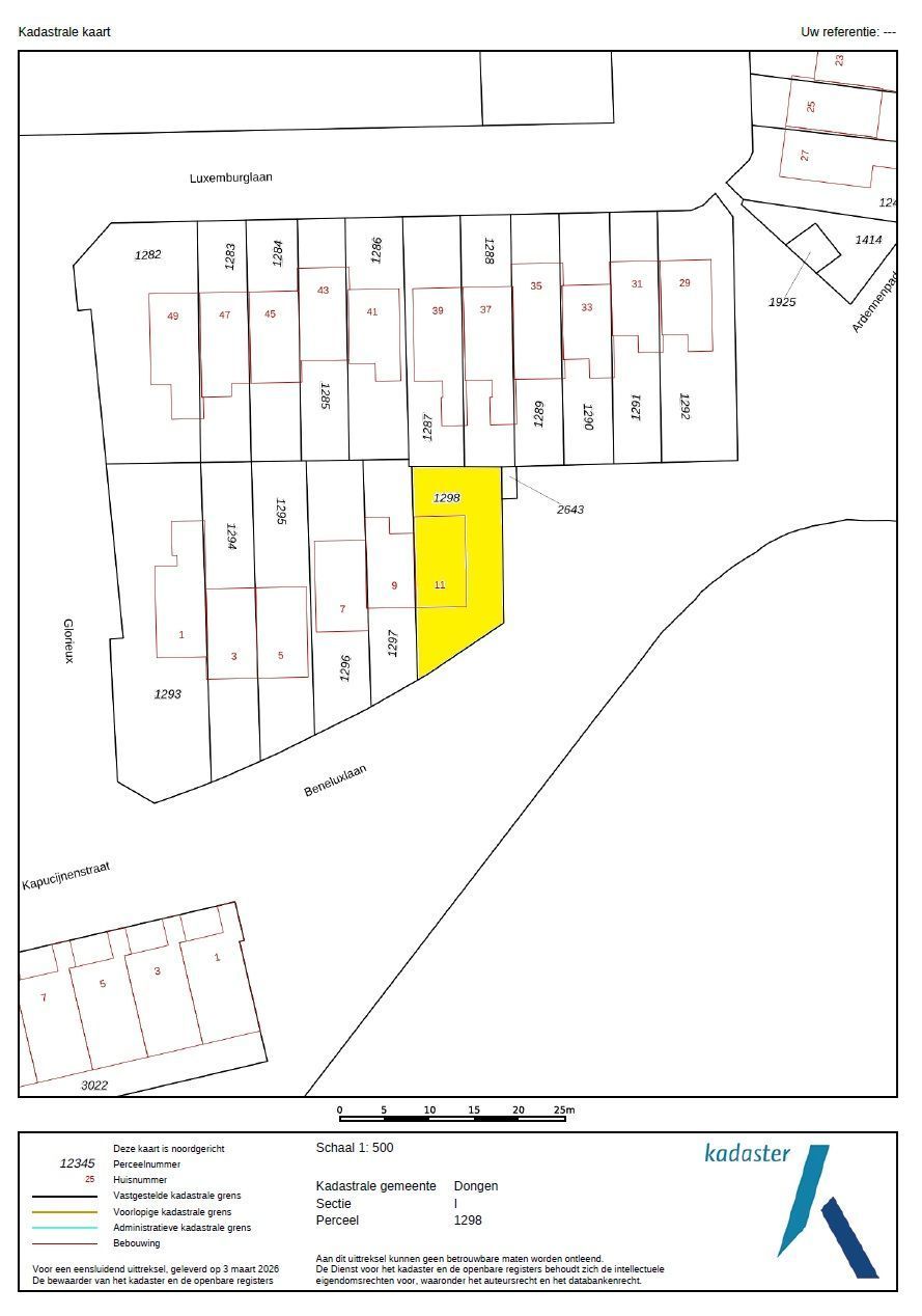
Beneluxlaan 11

Vraagprijs € 398.000 k.k.

3 Slaapkamers

90 m² Oppervlakte

205 m² Perceeloppervlakte

C Energielabel

Interesse in Beneluxlaan 11?

We horen graag van je!

Contactgegevens