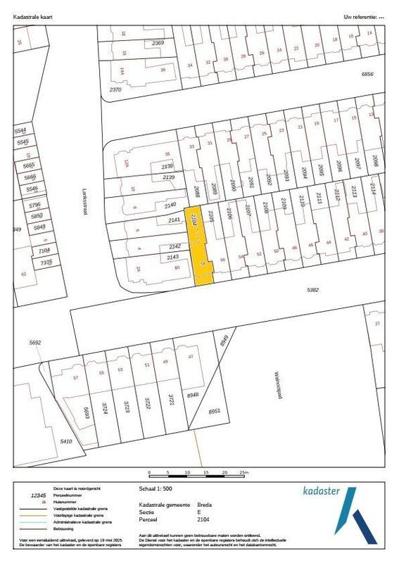
Breda

Magnoliastraat 58

Vraagprijs € 450.000 k.k.

3 Slaapkamers

92 m² Oppervlakte

101 m² Perceeloppervlakte

C Energielabel

Interesse in Magnoliastraat 58?

We horen graag van je!

Contactgegevens