• Huis verkopen in 2026? Zet jouw woning te koop en neem deel aan de KIN Open Huizen dag van 7 februari a.s.!

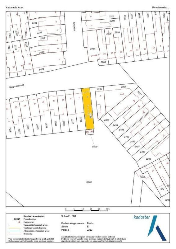
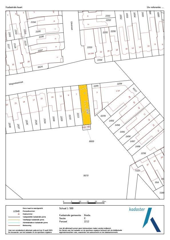
Breda

Magnoliastraat 5

Vraagprijs € 450.000 k.k.
verkocht

3 Slaapkamers

101 m² Oppervlakte

126 m² Perceeloppervlakte

D Energielabel