• ZET JE WONING TE KOOP EN NEEM DEEL AAN DE KIN OPEN HUIZEN DAG OP ZATERDAG 13 DECEMBER!

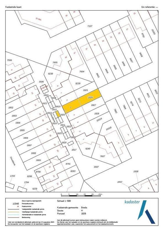
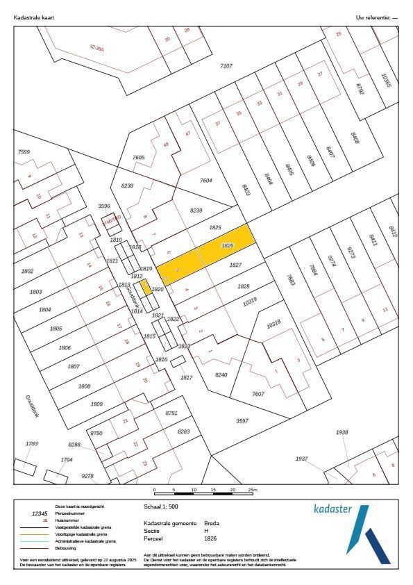
Breda

Gouddonk 5

Vraagprijs € 425.000 k.k.
Verkocht onder voorbehoud

4 Slaapkamers

138 m² Oppervlakte

145 m² Perceeloppervlakte

C Energielabel

Interesse in Gouddonk 5?

We horen graag van je!

Contactgegevens