Rijen

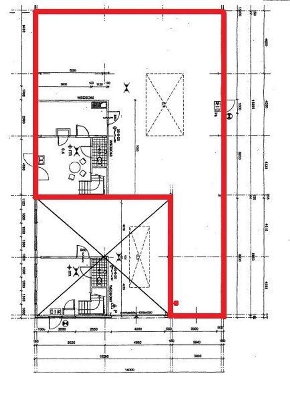
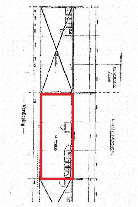
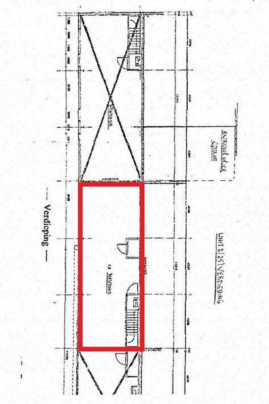
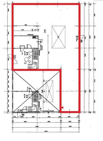
Provinciënbaan 25

€ 23.700 p.j.

310 m² Oppervlakte

Interesse in Provinciënbaan 25?

We horen graag van je!

Contactgegevens