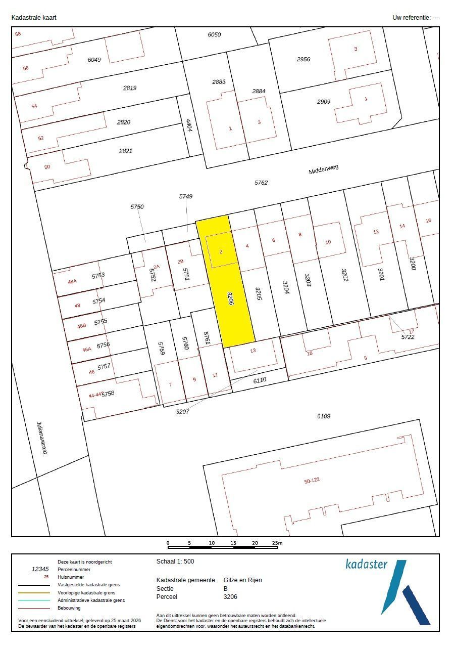
Rijen

Middenweg 2

Vraagprijs €379,000 k.k.

4 Bedrooms

94 m² Surface

219 m² Plot surface

B Energylabel

Interesse in Middenweg 2?

We horen graag van je!

Contactgegevens